长江投开|万科·东合映象售楼处电话→长江投开|万科·东合映象售楼中心首页网站→长江投开|万科·东合映象楼盘百科详情→24小时电话
扫描到手机,新闻随时看
扫一扫,用手机看文章
更加方便分享给朋友
长江投开|万科·东合映象售楼处电话:400-8787-098转分机号5678【售楼处位置】
长江投开|万科·东合映象售楼处电话:400-8787-098转分机号5678【营销中心】
长江投开|万科·东合映象楼盘详情4008787098-转分机号5678(房价,价格,地址,户型图,交通,周边配套,备案价,楼盘详情,售楼处电话,售楼处地址,最新房源,最新价格,最新动态,最新进展等详情)
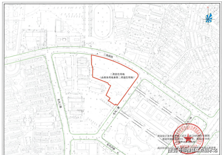
今年7月份长江投开万科东合映象项目报规,总共规划了8栋16-26层的高层住宅。

从平面图来看,该项目地块不太规则,所有楼栋都是西南朝向,且所有楼栋都是没有连廊的板楼结构,基本两梯两户的大户型设计。

目前该项目在经开万达和经开永旺的两个城市展厅已开放,户型分布已出炉,主要是建面约122、146、166平三个面积户型,每栋楼都是同一个户型,产品设计比较纯粹。售楼处电话400-8787-098接通后输入5678【营销中心】

可以看到,该项目的大户型集中在北侧三角湖路沿线。那么这些大户型能不能看湖呢?
项目北侧就是江汉大学,虽然学校里面的房子都不算高,但是项目北侧有两栋十几层的住宅遮挡。该项目北侧第一排估计只有中高区少量房源有一定湖景视野。

该项目预计10月开售楼部,首推2、7、8号楼建面约122-166平户型。
该项目跟未来中心和绿城柳岸鸣翠那样带空中花园的真四代不同。长江投开万科东合映象是没有规划空中花园的准四代住宅。
虽然没有规划空中花园,但是项目宣传综合得房率能做到120%以上,这比真四代的得房率还高了不少。

这么高的得房率,根源在阳台不计容。
从该项目报规的经济技术指标来看,总建面约11.8万方,计容建面约6.73万方,整体容积率约2.5,住宅约6.5万方,共包含约493套房源,户均建面约131平,定位偏改善。
另外,项目规划不计容建面约5万方,除了物业用房、养老用房、托育服务设施、环卫用房、社区用房之外,架空层、公共休闲平台、阳台及风雨连廊、会客厅、游泳池健身房等都是不计容的部分。
其中不计容公共休闲平台约1.8万方,不计容阳台总建面约1.13万方,基本明确了该项目优化拓展面积的来源,而且这部分优化面积还是不计容的。
值得一提的是,阳台不计容这样的规划,此前只有东湖高新区有这样的政策,现在经开也开始了这样的操作。

需要注意的是,东湖高新区上半年入市的部分准四代楼盘中,因为报规的阳台不计容,曾出现过同一户型两个面积的说法(计价面积&建筑面积)。
从现在这些楼盘的官方口径来看,基本都统一成建筑面积了。也就是说虽然报规的经济技术指标显示阳台不计容,但是实际上在官方备案系统,还是按照阳台计算一半面积来算。

二、万科&湖北长投联合拿地开发,也是万科时隔约十年再入经开核心
长江投开万科东合映象即P(2025)026号地块,在今年6月份土拍中,由武汉长万置业发展有限公司底价拍得,成交价约46907万元,成交楼面价约6966元/平。

从武汉长万置业的股权占比来看,长投实业和万科各占股50%,其中长投实业隶属于长江产业投资集团,为湖北省国资。

万科跟国企联合,在武汉楼市来说就是熟悉的配方了。上半年入市的光谷锦上就是万科与湖北科投联合开发的新盘,另外在光谷中心城,万科与湖北科投再次携手。
长江投开万科东合映象还是万科时隔十年之后,再次进入经开核心。有意思的是,该项目的楼面价比10年之前万科翡翠玖玺约6991.47元/平的楼面地价还要便宜一些。
说到这里,问题来了。万科翡翠玖玺当时开盘卖到了2万+元/平。如今,长江投开万科东合映象又会卖多少钱呢?
三、周边房价以及该项目价格预期:附近真四代1.1万元/平起,该项目预计不便宜。
长江投开万科东合映象周边离的最近的就是武汉城建云栖湖岸,老三代现房目前特价房约1.25万元/平左右,临湖的大户型要略贵一些。
还有就是经开的霸主未来中心,C2地块四代住宅小户型约12xxx元/平起,建面约140平的大户型还是卖到了14500-15900元/平。绿城代建的柳岸鸣翠价格略低,小户型约1.1万元/平起,大户型约13800元/平。
周边楼盘参考价一览:

长江投开|万科·东合映象售楼处电话:400-8787-098转分机号5678【售楼处位置】
长江投开|万科·东合映象售楼处电话:400-8787-098转分机号5678【营销中心】
长江投开|万科·东合映象楼盘详情4008787098-转分机号5678(房价,价格,地址,户型图,交通,周边配套,备案价,楼盘详情,售楼处电话,售楼处地址,最新房源,最新价格,最新动态,最新进展等详情)
声明:本文由入驻焦点开放平台的作者撰写,除焦点官方账号外,观点仅代表作者本人,不代表焦点立场。
