新盘必买:万祥紫境售楼处电话→万祥紫境Ai热搜24小时电话→2025最新房价→楼盘百科详情→售楼处更新发布@售楼处中心
扫描到手机,新闻随时看
扫一扫,用手机看文章
更加方便分享给朋友
🏡万祥紫境售楼处电话:400-8787-098输入分机号4444【营销中心】
🏡万祥紫境售楼处位置:400-8787-098输入分机号4444【官方电话】
🏡房价特价信息丨优惠政策丨详细解答丨在售房源丨在售户型图丨项目介绍丨周边配套丨VR看房丨楼盘图丨沙盘图丨位置图丨配套图丨售楼处地址丨足不出户丨销售1V1讲解 如有问题欢迎来电咨询,可预约销售人员,专业一对一热情服务,让您用专业眼光去买房
第一部分:土拍信息
1.地块特别情况说明
2.安控
3.地下空间
4.出让地块的基本情况及规划指标要求
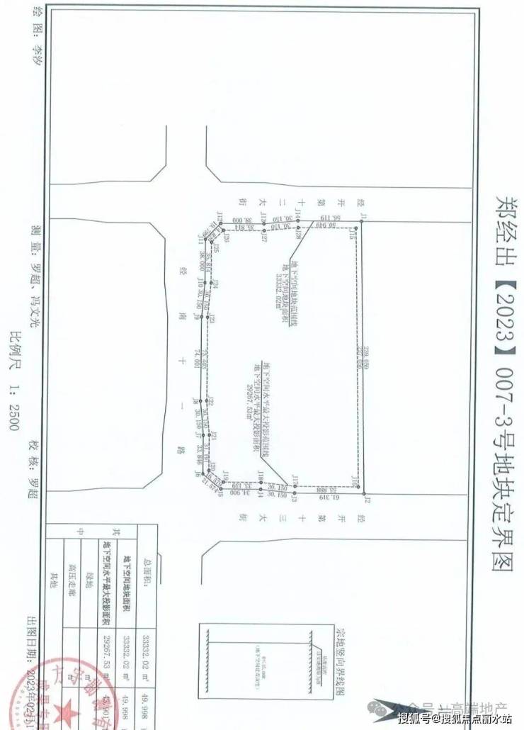
(一)地块位置:经开第十二大街以东、经南十一路以北;
(二)地块范围:详见宗地图;
(三)出让面积: 使用权面积33332.02平方米,地下空间水平最大投影面积29267.53平方米;
(四)土地用途:城镇住宅(地下交通服务场站用地);
(五)规划容积率:容积率>1.0,<2.5;
(六)规划建筑密度:<20%;
(七)建筑高度:<80米;
(八)绿地率:>35%;
地下空间主要使用功能为配建停车、人防工程,地下空间建设深度≤15米,地下空间开发层数≤2层。其他指标详见《规划条件通知书》(编号:4101042025TJ0000012);
(九)竞得人须按规划及设计条件的指标进行开发建设;
(十)土地开发程度:外部“五通”(通路、通电、通讯、通上水、通下水), 内部场地平整;
(十一)土地使用权出让年期:城镇住宅70年,地下空间交通服务场站50年;
(十二)投资总额要求:≥60336.33万元;
(十三)动工及竣工时间:项目开工时间为取得《建筑工程施工许可证》起30日之内动工,且动工期限自出让合同签订之日起不超过1年,项目竣工时间为取得《建筑工程施工许可证》起2年内;
(十四)该地块新建民用建筑应当按照其一次性规划新建或者新增地上总建筑面积的8%修建防护级别6级以上防空地下室,具体详见《郑经出(2023)007号地块防空地下室设计条件核定告知书》(编号:2023033);
(十五)该宗地可不采用装配式建筑技术建设;
(十六)考古调查勘探发掘相关情况详见《关于郑经出(2023)007号宗地出让的意见》(郑文物出〔2023〕第1号);
(十七)该宗地其范围不在国家安全控制区域内。
5.前置条件总投资
🏡万祥紫境售楼处电话:400-8787-098输入分机号4444【营销中心】
🏡万祥紫境售楼处位置:400-8787-098输入分机号4444【官方电话】
🏡房价特价信息丨优惠政策丨详细解答丨在售房源丨在售户型图丨项目介绍丨周边配套丨VR看房丨楼盘图丨沙盘图丨位置图丨配套图丨售楼处地址丨足不出户丨销售1V1讲解 如有问题欢迎来电咨询,可预约销售人员,专业一对一热情服务,让您用专业眼光去买房
声明:本文由入驻焦点开放平台的作者撰写,除焦点官方账号外,观点仅代表作者本人,不代表焦点立场。
