中天央著售楼处电话→中天央著售楼中心首页网站→中天央著楼盘百科详情→24小时电话
扫描到手机,新闻随时看
扫一扫,用手机看文章
更加方便分享给朋友
🌈沈阳中天央著售楼处电话☎️400-8787-098转接4444(专人接听)
🌈沈阳中天央著营销中心电话:☎️400-8787-098转4444【营销中心】
🌈温馨提示:拨打400电话,听到嘀声后,输入分机号4444即可!
辽宁中天在浑南“神仙地块”上的 “终极答卷” ,刚刚正式揭晓!
如果说之前的拿地是序幕,那么这份详尽的规划方案,就是拉开大幕的第一次震撼亮相。宝哥可以毫不夸张地说:沈阳楼市,已经很久没有出现过如此清晰、如此坚决、如此颠覆性的产品蓝图了。 它不仅仅是一个新盘规划,更像是一份写给未来十年的 “居住宣言”。

🌈沈阳中天央著售楼处电话☎️400-8787-098转接4444(专人接听)
🌈沈阳中天央著营销中心电话:☎️400-8787-098转4444【营销中心】
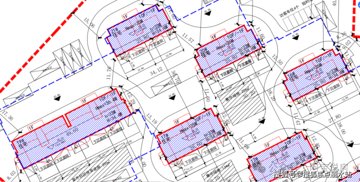
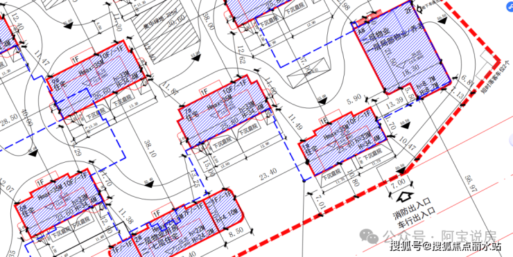
第一部分:规划定乾坤!17栋纯洋房,构筑352席河畔藏品
先上硬货,直击核心。根据官方公示的规划文件,中天此次的浑南项目,案名:中天央著,但产品形态已毫无保留:
🌈沈阳中天央著售楼处电话☎️400-8787-098转接4444(专人接听)
🌈沈阳中天央著营销中心电话:☎️400-8787-098转4444【营销中心】
纯粹到底: 项目由 17栋10层纯洋房 构成,零高层、零小户型,纯粹到极致。总计仅 352套 住宅,这个数字本身,就是一道高高的门槛。

形态革命: 最关键的信息来了!规划图纸明确显示,除了临街的少数楼栋,绝大部分产品将采用奇偶层错层“空中花园”设计。这意味着,每一户都将拥有一个 挑高、错层的“空中私家庭院” ,实现家与自然在垂直维度的融合。

🌈沈阳中天央著售楼处电话☎️400-8787-098转接4444(专人接听)
🌈沈阳中天央著营销中心电话:☎️400-8787-098转4444【营销中心】
奢华基底: 针对首层住户,规划设计了 “下沉式庭院” 。通过私属的采光井和庭院,实现真正的“有天有地”,这在沈阳核心河畔地段,堪称奢侈的馈赠。

空间尺度: 从建筑立面效果图可见,项目的 窗墙比、窗地比极高,预示了极为开阔的视野和采光。主力户型面积段将围绕 140平方米左右(高赠送空间,实得面积更大) 展开,定位清晰——只为终极改善服务。



🌈沈阳中天央著售楼处电话☎️400-8787-098转接4444(专人接听)
🌈沈阳中天央著营销中心电话:☎️400-8787-098转4444【营销中心】
这份规划,没有任何含糊和妥协。它用最直接的方式宣告:我不是来参与游戏的,我是来重新制定规则的。 “纯洋房+主流四代宅+下沉庭院+空中花园”的组合,在沈阳市场是前所未有的,它直接瞄准了高端改善群体最深层、最未被满足的渴望——在城市的中心,拥有一个 “垂直的生态家园”。

第二部分:产品与地块的“天作之合”,何以称为“神仙搭配”?
如此超前的规划,为何偏偏落在这块地上?因为只有这块“神仙地块”,才配得上、也撑得起这样的“神仙规划”。

让我们重温这块地的禀赋,并结合规划,看看其 “天作之合” 的逻辑:
1.3容积率是“骨”:这是所有想象力的基础。如此低的密度,才容得下每户“空中庭院”对结构、日照、隐私的苛刻要求,才使得“纯洋房社区”成为可能,而非噱头。
浑河与奥体是“魂”:“四代住宅”的核心是生态与景观。项目虽非河景(约700米),但可以近行见河,入园见绿。社区内的立体绿化系统与外部浩瀚的河岸公园带里应外合,将居住的生态价值放大到极致。

🌈沈阳中天央著售楼处电话☎️400-8787-098转接4444(专人接听)
🌈沈阳中天央著营销中心电话:☎️400-8787-098转4444【营销中心】
地铁与成熟区是“魄”:项目与地铁9号线建筑大学站几乎“零距离”。这意味着,它同时拥有了 “出则繁华便捷,入则静谧自然” 的顶级城市资源整合能力。长青板块的完全成熟,确保了生活的即时性与圈层的纯粹度。
毗邻金地长青湾是“局”:这步棋意味深长。在公认的标杆旁落子,是最大的自信与野心。它宣告的竞争不是价格,而是 “下一代产品力” 对“上一代经典”的对话与超越。
简单说,这块地提供的“舞台”足够稀缺、足够稳固,而辽宁中天的规划,则是为这个舞台量身定制的、最华丽也最复杂的“演出剧本”。 两者相遇,才可能诞生传奇。

🌈沈阳中天央著售楼处电话☎️400-8787-098转接4444(专人接听)
🌈沈阳中天央著营销中心电话:☎️400-8787-098转4444【营销中心】
第三部分:辽宁“一哥”中天:被严重低估的“品质匠人”
看到这里,肯定有小伙伴会问:规划虽好,能落地吗?这就要看懂操盘手——辽宁中天。在省内,它是深藏不露的“实力派”,是许多本地人心照不宣的 “品质保证”。
省级王者: 2024年辽宁省房企销售面积榜,中天高居 全省第7,本土房企第1。这份成绩单,是在其仅布局辽宁省内六城(二十余年,布局大连、抚顺、营口、盘锦、鞍山等六城)的情况下取得的,含金量十足。
口碑铸就: 在其深耕的城市,中天的项目往往是 “品质代名词”。例如在抚顺的 “中天学府壹号” ,凭借对“教育+改善”需求的精准把握和过硬品质,成为当地家庭换房的 首选标杆,用产品力重新定义了区域价值。在大连,其“央”系作品与国际酒店服务理念结合,瞄准高端圈层,展现了打造 “高标准生活方式” 的能力。
“老匠人”精神: 与追求高周转的房企不同,中天的风格更倾向于 “长期主义” 和 “口碑至上” 。它更像一个深谙本地风土与人情的匠人,作品不多,但力求件件是精品,极其看重老乡们的口碑。它进军沈阳,不是来试水的,而是带着必须成功的“作品心态”来的。 这浑南项目,就是它献给沈阳的、凝聚二十余年功力的“拜山之作”。
因此,我们有理由相信,这份惊艳的规划,不是纸上谈兵。它背后,是一个有实力、有经验、更有强烈意愿在沈阳树立丰碑的开发商。
🌈沈阳中天央著售楼处电话☎️400-8787-098转接4444(专人接听)
🌈沈阳中天央著营销中心电话:☎️400-8787-098转4444【营销中心】
代表作直击:在大连,辽宁中天的“中天央著”项于2024年8月以7.89亿元摘得该地块。项目主打“国际五星级酒店服务住区”概念,通过与温德姆酒店集团的合作,旨在为业主提供高品质的酒店式服务和居住体验。其户型设计注重宽敞的景观面和大尺度的功能空间,例如168平方米的户型提供了约18.1米的南向巨幕面宽和豪华主卧套房。
辽宁中天的代表项目往往精准把握了地缘性客户的改善需求:比如更优的户型设计、更好的社区环境、更棒的物业服务。例如:“学府壹号”项目,紧扣“教育”主题,将项目打造为名副其实的学区品质住宅,成为了许多抚顺家庭换房的首选。
辽宁中天不是高周转跑量的那种企业,而是“老匠人”型开发商——精雕细琢、口碑相传、长期主义。这一次进沈阳,不是趁热,而是看准了机会,要做一个能代表自己实力的作品。

🌈沈阳中天央著售楼处电话☎️400-8787-098转接4444(专人接听)
🌈沈阳中天央著营销中心电话:☎️400-8787-098转4444【营销中心】
第四部分:价格预判与终极启示
面对这样一套 “顶配地块+颠覆性规划+口碑开发商” 的终极组合,其价格逻辑已然脱离普通商品房范畴。
稀缺定价: 352套的绝对稀缺量,“四代宅”在沈阳的稀缺形态,浑河畔低密土地的稀缺属性,三者叠加,其价值已无法用周边普通二手房来简单锚定。
成本定价: “空中庭院”、“下沉花园”等复杂工艺带来的营造成本,远非传统住宅可比。真材实料的“匠心”,成本必然体现在售价上。
价值定价: 中天资金充裕,无快销压力。其目标是打造品牌标杆,追求的是项目的 “传世价值” 和品牌的高度升华。因此,定价的核心将是对其提供的 “未来十年领先性生活体验” 的价值认定。
综合判断,宝哥维持此前观点:该项目面市时,整体均价冲击1.8至2万元/平方米,是极大概率事件。 这并非鼓吹房价,而是基于顶级稀缺资产价值规律的冷静推断。这352套房,从规划落定那刻起,就注定只为城市塔尖的少数人准备。

写在最后:
沈阳的改善市场,呼唤真正的“扛鼎之作”已经太久。太多项目在微创新中打转,而中天此番,直接拿出了 “形态革命” 的方案。
它用这份规划告诉我们:好房子的未来,不是更大的客厅,而是把庭院搬上云端;不是更贵的装修,而是让家与自然共生。
这不仅是辽宁中天的一场关键战役,或许也将成为激活沈阳高端住宅产品力全面觉醒的那把钥匙。对于所有追求更好生活的人,这是一份值得仔细研读的 “未来生活预告”。
🌈沈阳中天央著售楼处电话☎️400-8787-098转接4444(专人接听)
🌈沈阳中天央著营销中心电话:☎️400-8787-098转4444【营销中心】
🌈温馨提示:拨打400电话,听到嘀声后,输入分机号4444即可!
声明:本文由入驻焦点开放平台的作者撰写,除焦点官方账号外,观点仅代表作者本人,不代表焦点立场。
